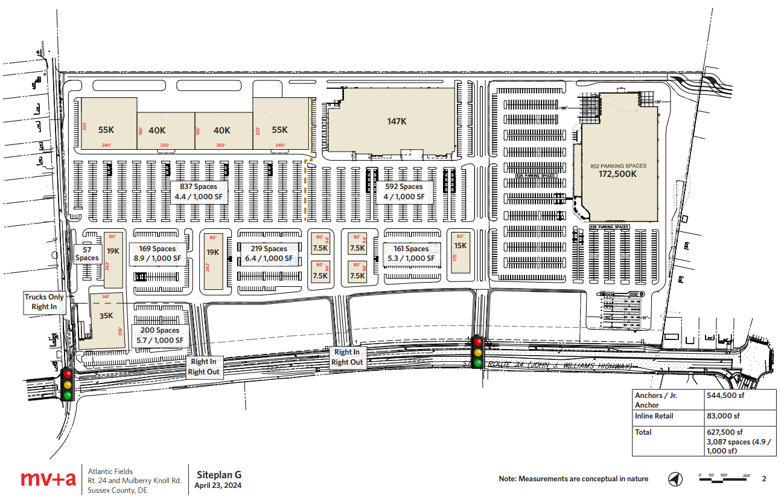
LEWES, Del. - We have previously covered the plans for the Atlantic Fields project. The project plans are for a 695,000 square foot shopping center at the corner of Mulberry Knoll Rd and RT. 24. These plans are still under review after a PLUS application was submitted to Sussex County.
(Delaware State Planning)
Plans for the proposed shopping center are causing mixed reactions among nearby neighbors. Rodger Kennedy says this growth was inevitable.
"We need shopping areas for the people in the area; you can't fight progress."
Lewes local Lisa Stewart says the development takes away from the small-town feel of the area.
"When people move here from other parts of the state or from different states, part of the reason they're moving here is to get away from traffic." Stewart said, "This would cause heavy traffic."
CoastTV reached out to the developer listed on Sussex County planning documents, we have not received a response.


